![]() |
|
|
|
|
|
|
|
|
|
| 通知公告: |
大东区龙之梦项目规划指标调整的公示
大东区龙之梦项目规划指标调整的公示
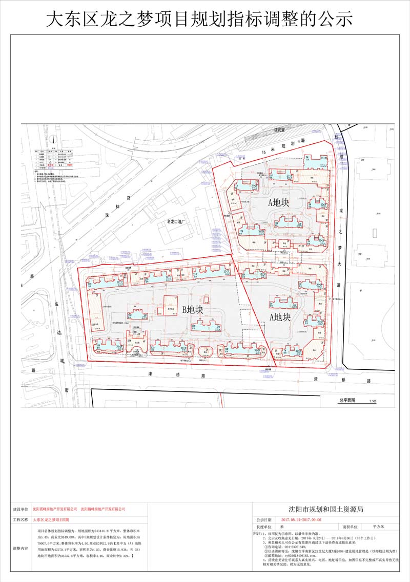
龙之梦项目位于大东区津桥路北侧,经专业评估,专家论证,项目总体规划指标调整为:用地面积为543444.31平方米,整体容积率为5.43,商业比例49.00%。其中5期规划设计条件核定为:用地面积为79007.6平方米,整体容积率为4.50,商业比例12.91%[其中五(A)地块用地面积为42270.1平方米,容积率为4.53,商业比例15.93%;五(B)地块用地面积为36737.5平方米,容积率为4.46,商业比例9.32%。]。特此公示并征求意见。 公示内容如下: 1、该图仅为示意图,以最终审批为准。 2、公示及收集意见日期:2017年 8月24日——2017年9月06日(10个工作日) 3、利益相关人可在公示有效期内通过以下途径咨询或提出意见: ①咨询电话:024-83961849; ②信函请邮寄至: 沈阳市浑南新区21世纪大厦A座1604-建设用地管理处(以邮戳日期为准); 4、反馈意见请注明联系人真实姓名、电话、地址等信息;如因信息不完整或不真实导致无法核对相关情况的,视为无效意见。
沈阳市规划和国土资源局 2017年8月24日 |
| 友情链接: |
|
|
|
|


