![]() |
|
|
|
|
|
|
|
|
|
| 通知公告: |
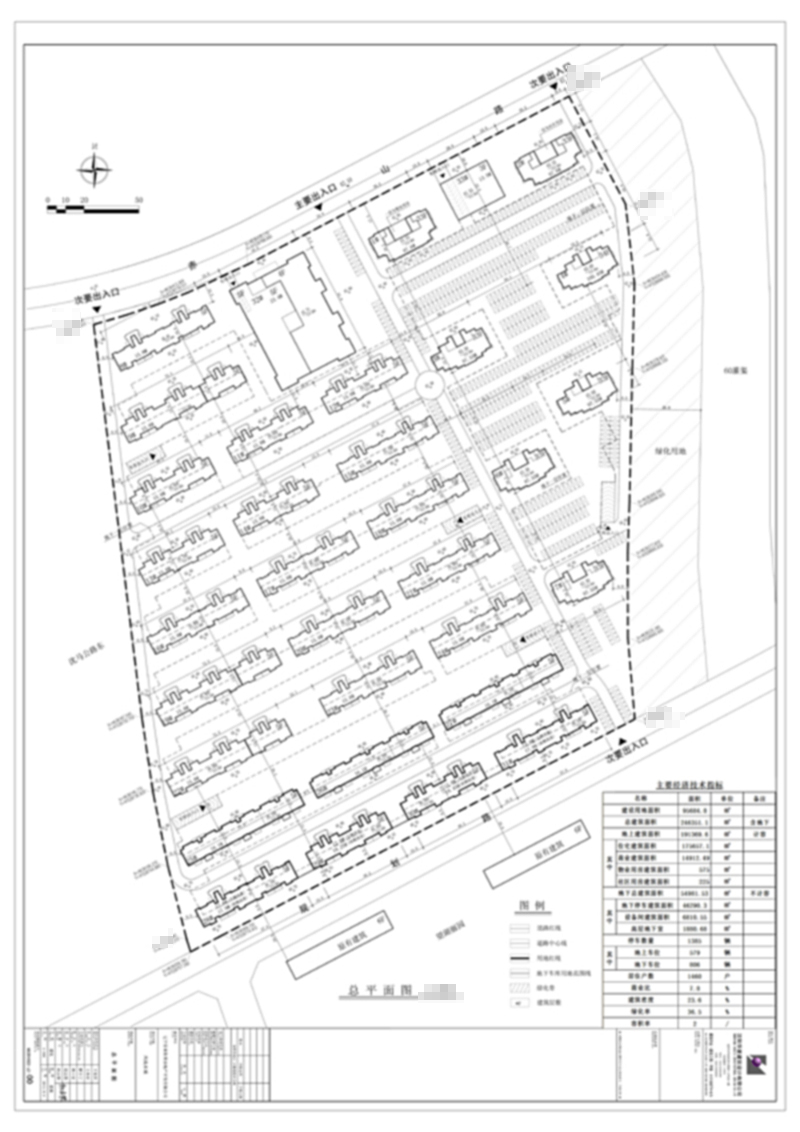
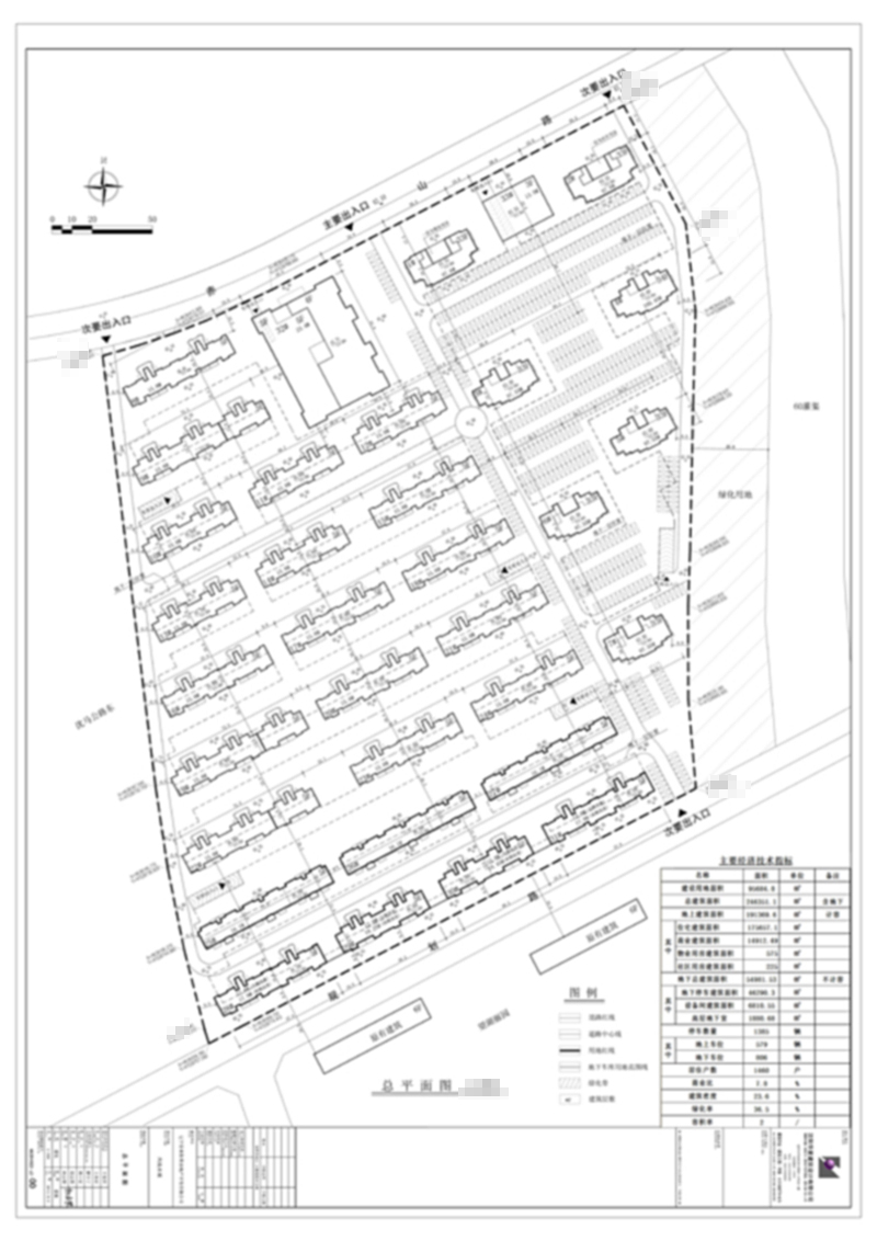
变更辽宁富莱斯普房地产开发有限公司“凤凰水城”建设项目总平面规划方案公示
经沈阳市规划和国土资源局于洪分局建审科审核,拟批准辽宁富莱斯普房地产开发有限公司位于沈阳市于洪区丁香湖新城沈马公路东侧的“凤凰水城”变更总平面规划方案,现对变更后项目总平面规划方案进行公示。
公示内容如下:
公示日期:2013年12月30日——2014年 01月10日(10个工作日)
公示反映方式:在公示期间,有关单位或个人对该项目审批有任何意见或建议的,可通过以下方式反映:
1. 联系电话: 024-25315978
2. 传真:024-25300297 (请注明“规划公示”字样)
3. 信件寄往“沈阳市于洪区沈大路63号 沈阳市规划和国土资源局于洪分局建审科”收(请注明“规划公示”字样),邮编:110141
沈阳市规划和国土资源局于洪分局
2013年12月30日
![]() | |||||||||||||||||||||||||||||||||||||||||||||||||||||
| 友情链接: |
|
|
|
|



