![]() |
|
|
|
|
|
|
|
|
|
| 通知公告: |
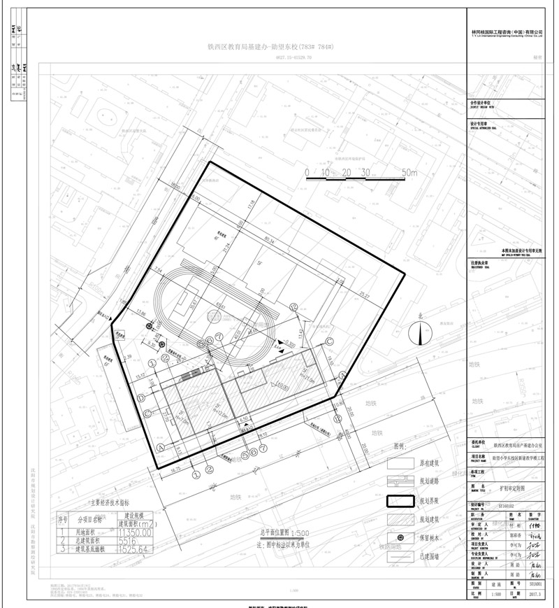
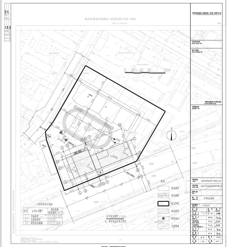
沈阳市铁西区教育局勋望东校新建教学楼工程
![]() 用地面积11349.86平方米,一栋建筑,建筑面积5516.00平方米,建筑层数地上5层,建筑高度21米 经沈阳市规划和国土资源局铁西分局规划科审核,拟批准沈阳市铁西区教育局位于沈阳市铁西区沈辽东路56号勋望东校新建教学楼工程项目,现对该项目总平面规划方案进行公示并征求意见。
公示内容如下:
1、该图仅为示意图,以最终审批为准。
2、公示及收集意见日期:2017年6月5日——2017年6月16日(10个工作日)
3、利益相关人可在公示有效期内通过以下途径咨询或提出意见:
①咨询电话:024-25877234;
②信函请邮寄至: 沈阳市铁西区北二路重工街铁西区政府B座209沈阳市规划和国土资源局铁西分局规划科(以邮戳日期为准);
4、反馈意见请注明联系人真实姓名、电话、地址等信息;如因信息不完整或不真实导致无法核对相关情况的,视为无效意见。
5、本方案涉及的利益相关人依法享有听证权,如需听证请在公示期内提出申请;在接到申请并审核后,我局将在15个工作日内组织听证会。沈阳市规划和国土资源局铁西分局 |
| 友情链接: |
|
|
|
|



