![]() |
|
|
|
|
|
|
|
|
|
| 通知公告: |
沈阳大学位于大东区望花南街的文体活动中心改造项目规划许可批前公示
沈阳大学位于大东区望花南街的文体活动中心改造项目规划许可批前公示
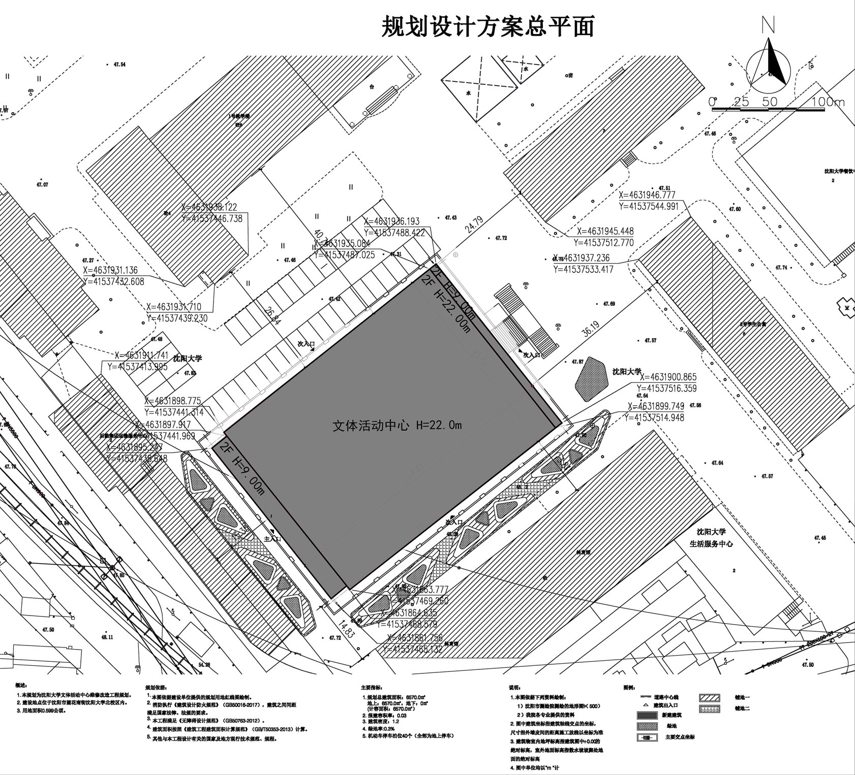
沈阳大学改造的大东区望花南街的文体活动中心项目,规划用地性质为教育用地,面积为237177.7平方米。建设单位现已委托设计单位按照相关技术标准和规范完成建设工程规划设计方案,现予以公示并公开征求意见。 1.公示及收集意见日期:2019年5月30日——2019年6月7日(7个工作日) 2.利害关系人可在公示有效期内通过以下途径咨询或提出意见: ①咨询电话:审批部门:沈阳市自然资源局大东分局,024-62199948; 建设单位:沈阳大学,024-62268610; 设计单位:沈阳都市建筑设计有限公司,024-82905938; ②信函请邮寄至;沈阳市大东区滂江街73号。 3.反馈意见请注明联系人真实姓名、电话、地址等信息;如因信息不完整或不真实导致无法核对相关情况的,视为无效意见。 4.本方案涉及的利害关系人依法享有听证权。
沈阳市自然资源局大东分局 2019年5月30日
| |||||||||||||||||||||||||||||||||||||||||||||||||||||||||||||||||||||||||||||||||||||||||||||||||||||||||||||||||||||||||||||||||||||||||||||||||||||||||||||||||||||||||||||||||||
| 友情链接: |
|
|
|
|



