![]() |
|
|
|
|
|
|
|
|
|
| 通知公告: |
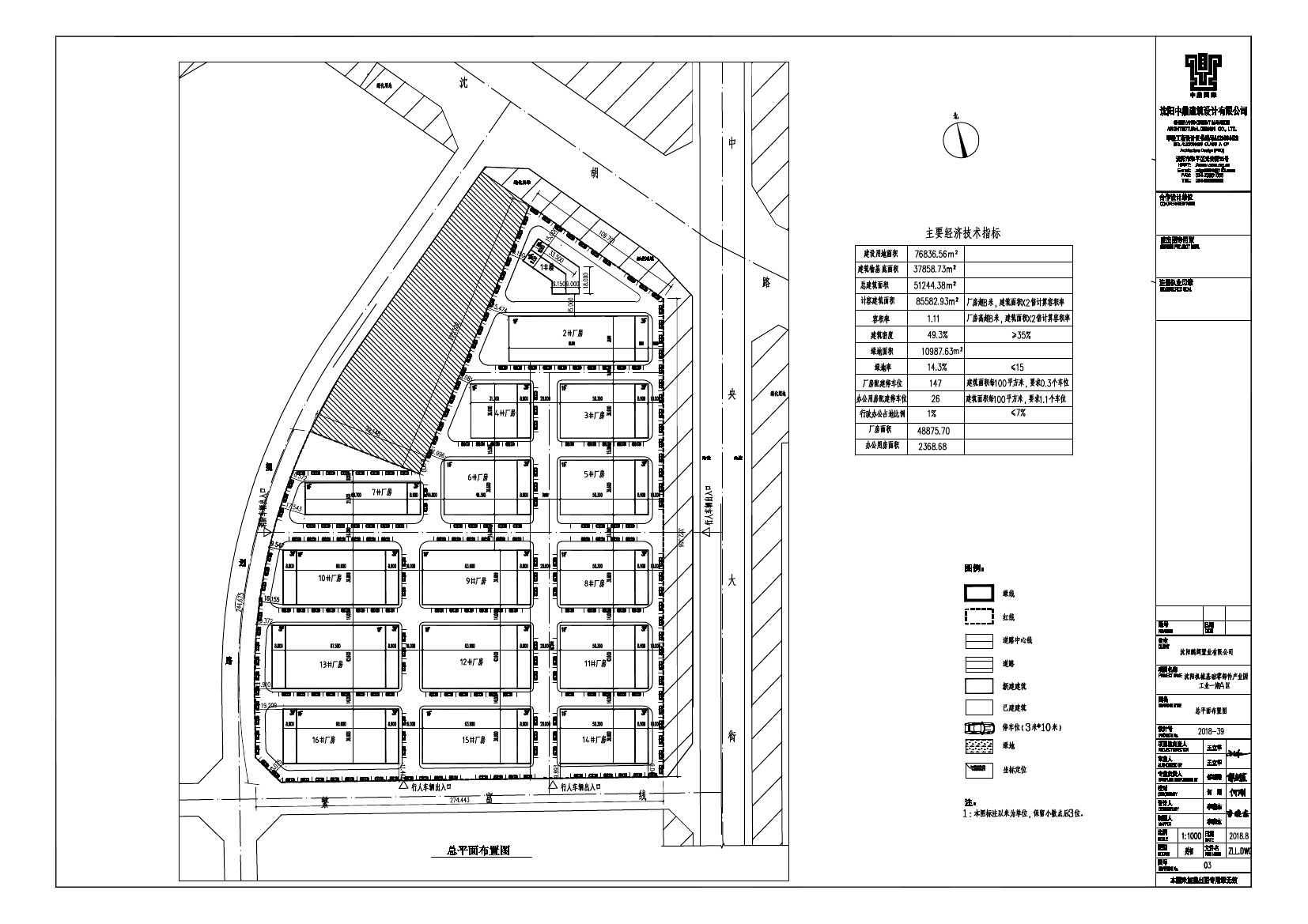
沈阳鹏辉置业有限公司位于于洪区于洪街道的工业项目规划许可批前公示
沈阳鹏辉置业有限公司开发的于洪区于洪街道兴盛村的工业项目,规划用地性质为工业用地,面积为76836.56平方米。建设单位现已委托设计单位按照相关技术标准和规范完成建设工程规划设计方案,现予以公示并公开征求意见。 1、公示及收集意见日期:2018年10月30日——2018年11月9日(10个工作日) 2、利害关系人可在公示有效期内通过以下途径咨询或提出意见: ①咨询电话:审批部门:沈阳市规划和国土资源局于洪分局建审科,024-25311425; 建设单位:沈阳中港地产开发有限公司,024-85856899; 设计单位:沈阳中鼎建筑设计有限公司,024-23852865; ②信函请邮寄至;沈阳市于洪区黄海路16号。 ③电子邮箱:yhgtj_jsk@163.com。 3、反馈意见请注明联系人真实姓名、电话、地址等信息;如因信息不完整或不真实导致无法核对相关情况的,视为无效意见。 4、本方案涉及的利害关系人依法享有听证权。
沈阳市规划和国土资源局 2018年10月30日
|
| 友情链接: |
|
|
|
|



