![]() |
|
|
|
|
|
|
|
|
|
| 通知公告: |
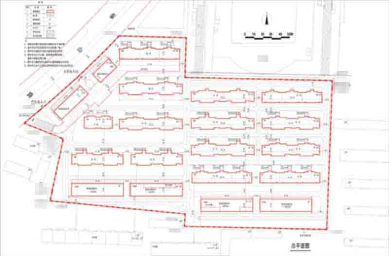
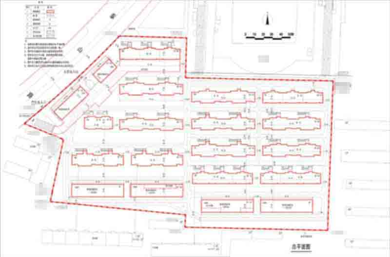
中国人民解放军总装备部后勤部东北办事处位于皇姑区泰山路11号的经济适用住房及附属工程规划方案批前公示
[总平面规划方案]中国人民解放军总装备部后勤部东北办事处位于皇姑区泰山路11号经济适用住房及附属工程规划方案批前公示
经沈阳市规划和国土资源局建设工程管理处审核,拟批准中国人民解放军总装备部后勤部东北办事处位于皇姑区泰山路11号的经济适用住房及附属工程总平面规划方案,现对该项目总平面规划方案进行公示。
公示内容如下:
公示日期:2012年 2月14日——2012年 2月27日(10个工作日)
公示反映方式:在公示期间,有关单位或个人对该项目审批有任何意见或建议的,可通过以下方式反映:
1. 联系电话: 024-28513096,024-23236914
2. 传真:024-83961709 (请注明“规划公示”字样)
3. 信件寄往“沈阳市和平区南四经街149号 沈阳市规划和国土资源局 建设工程管理处”收(请注明“规划公示”字样),邮编:110003
沈阳市规划和国土资源局
2012年 2月14日
![]() | |||||||||||||||||||||||||||||||||||||||||||||
| 友情链接: |
|
|
|
|



