![]() |
|
|
|
|
|
|
|
|
|
| 通知公告: |
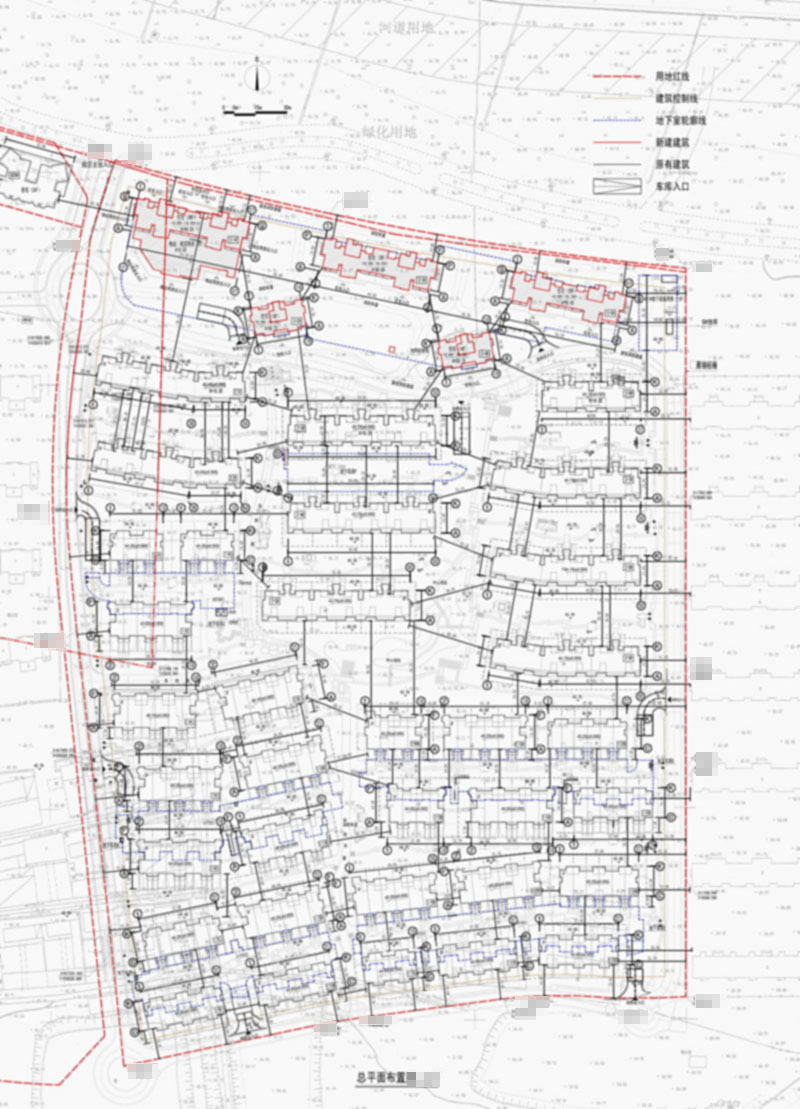
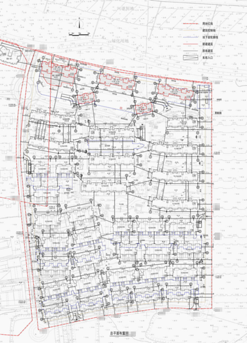
沈阳穗港白云房地产投资开发有限公司位于东陵区白塔街道塔北路 居住(二期高层变更)规划方案批前公示
[总平面规划方案]沈阳穗港白云房地产投资开发有限公司位于东陵区白塔街道塔北路 居住(二期高层变更)规划方案批前公示
经沈阳市规划和国土资源局东陵分局规划科审核,拟批准沈阳穗港白云房地产投资开发有限公司位于东陵区白塔街道塔北路居住(二期高层变更)总平面规划方案,现对该项目总平面规划方案进行公示。
公示内容如下:
公示日期:2012年 7月13日——2012年 7月26日(10个工作日)
公示反映方式:在公示期间,有关单位或个人对该项目审批有任何意见或建议的,可通过以下方式反映:
1. 联系电话: 024-83773730
2. 传真:024-83773726 (请注明“规划公示”字样)
3. 信件寄往“沈阳市浑南新区世纪路15号 沈阳市规划和国土资源局东陵分局 办公室”收(请注明“规划公示”字样),邮编:110179
沈阳市规划和国土资源局
2012年 7月12日
![]() | |||||||||||||||||||||||||||||||||||||||||||||
| 友情链接: |
|
|
|
|



