![]() |
|
|
|
|
|
|
|
|
|
| 通知公告: |
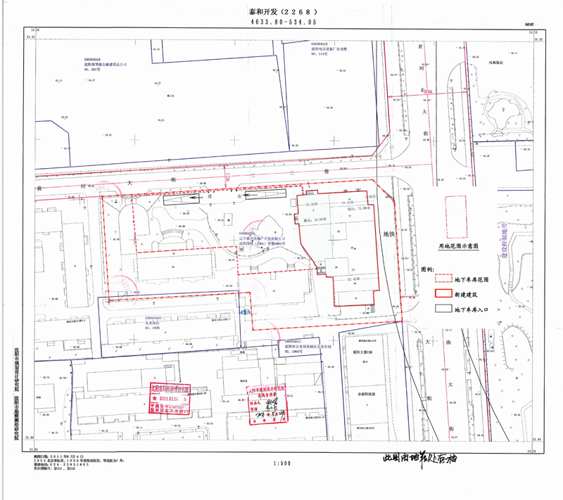
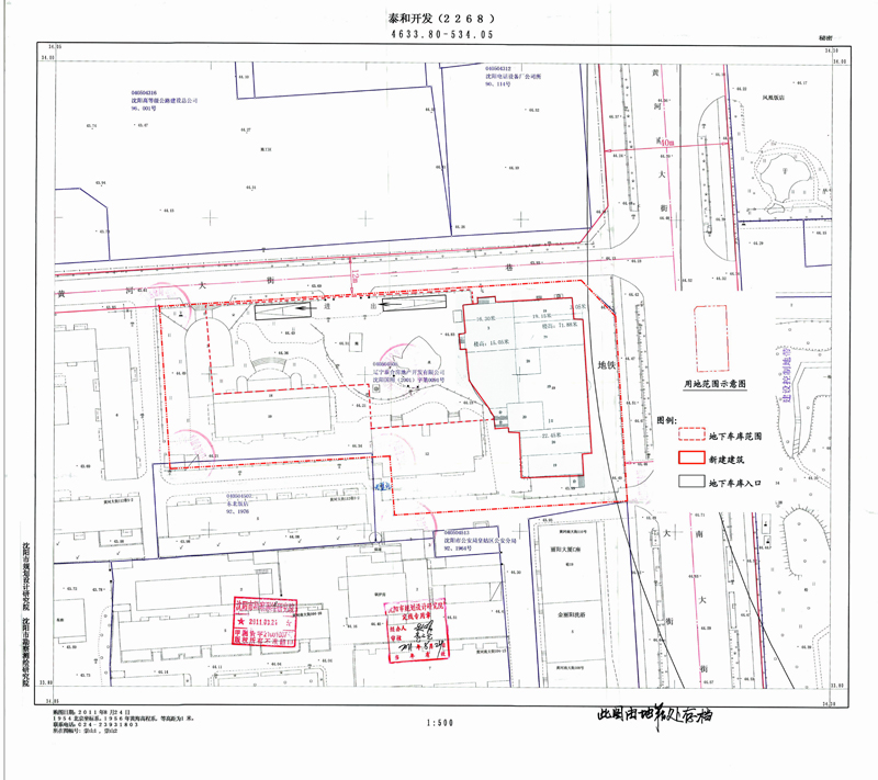
辽宁帝云房地产开发有限责任公司位于皇姑区黄河南大街112巷的泰合园项目规划方案批前公示(容积率调整)
[总平面规划方案] 辽宁帝云房地产开发有限责任公司位于皇姑区黄河南大街112巷的泰合园项目规划方案批前公示(容积率调整)
经沈阳市规划和国土资源局建设工程管理处审核,拟批准辽宁帝云房地产开发有限责任公司位于皇姑区黄河南大街112巷的泰合园项目总平面规划方案(容积率调整),现对该项目总平面规划方案进行公示。
公示内容如下:
公示日期:2013年 3月19日——2013年 4月1日(10个工作日)
公示反映方式:在公示期间,有关单位或个人对该项目审批有任何意见或建议的,可通过以下方式反映:
1. 联系电话: 024-83961831,024-23236914
2. 传真:024-83963817 (请注明“规划公示”字样)
3. 信件寄往“沈阳市和平区南四经街149号 沈阳市规划和国土资源局 建设工程管理处”收(请注明“规划公示”字样),邮编:110003
沈阳市规划和国土资源局
2013年3月19日
![]() | |||||||||||||||||||||||||||||||||||||||||||||
| 友情链接: |
|
|
|
|



