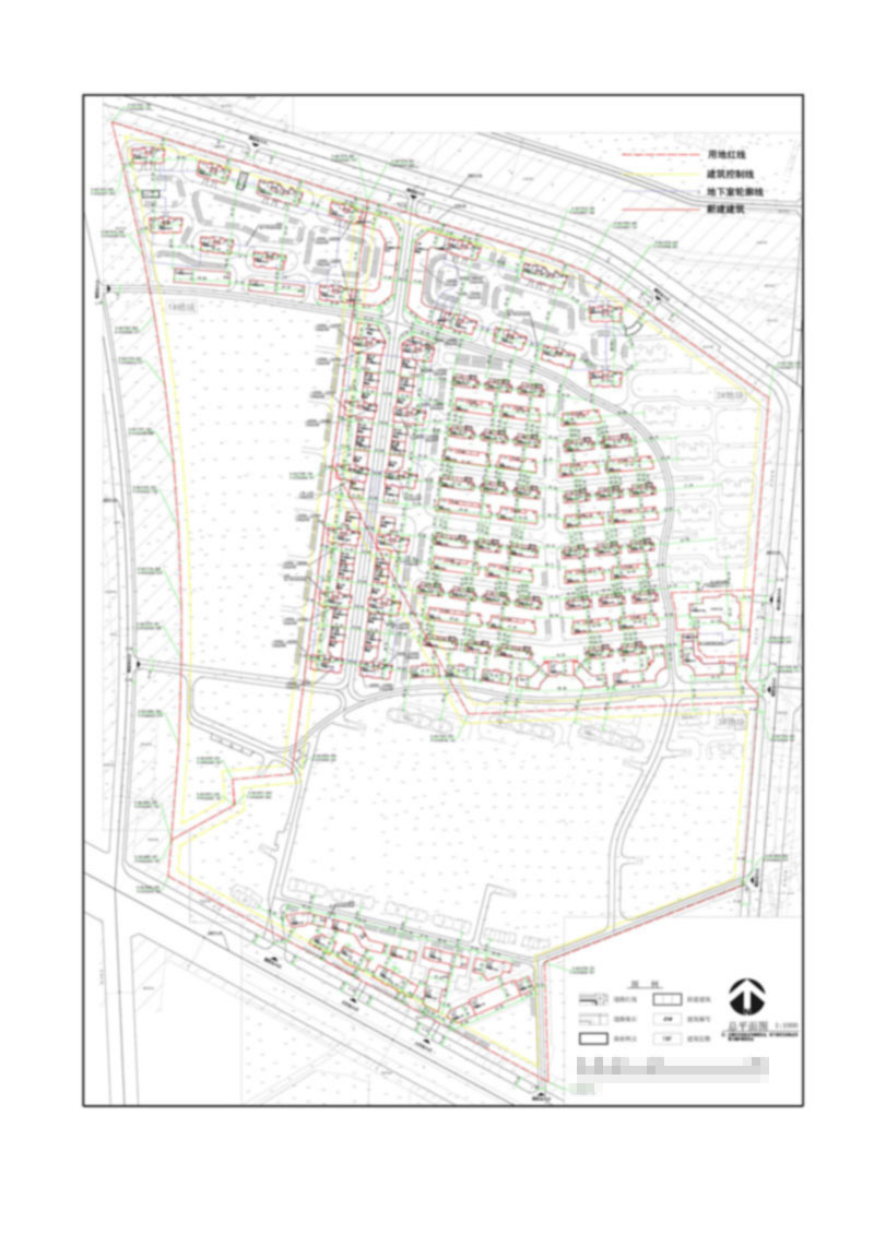
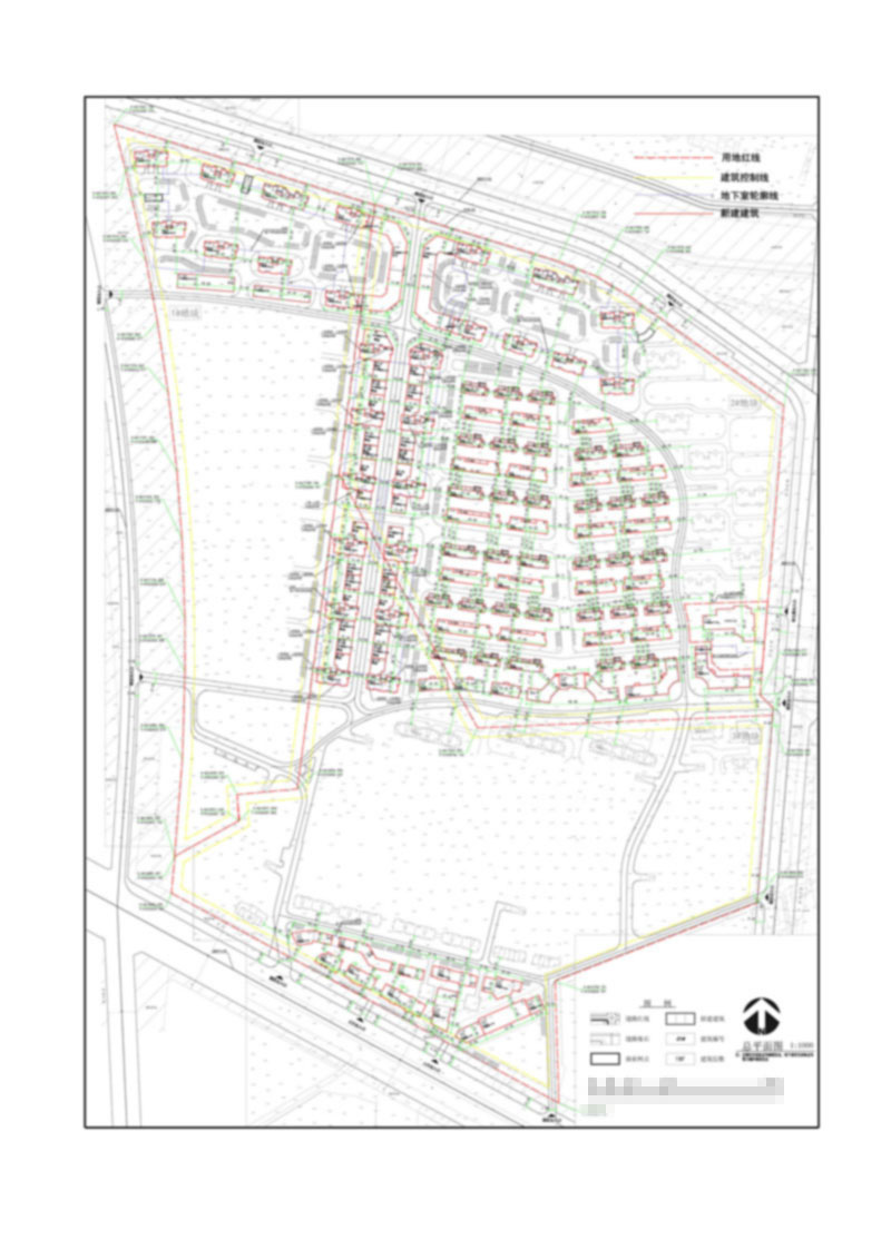
经沈阳市规划和国土资源局浑南分局规划科审核,拟批准沈阳华凌房地产有限公司位于浑南区白塔街道白塔村的居住商业五期项目规划方案,现对该项目总平面规划方案进行公示。
公示内容如下:
1、该图仅为示意图,以最终审批为准。
2、公示及收集意见日期:2015年3月10日——2015年3月23日(10个工作日)
3、利益相关人可在公示有效期内通过以下途径咨询或提出意见:
①咨询电话:024-24820956;
②信函请邮寄至:沈阳市浑南新区世纪路15号沈阳市规划和国土资源局浑南分局规划科(以邮戳日期为准) 邮编:110179;
4、反馈意见请注明联系人真实姓名、电话、地址等信息;如因信息不完整或不真实导致无法核对相关情况的,视为无效意见。
沈阳市规划和国土资源局浑南分局
2015年 3月10日
|
建设单位
|
沈阳华凌房地产有限公司
|
|
工程名称
|
郡原美村 居住、商业(五期)1#地块
|
|
建筑
面积
|
地上
|
91155.78 m2
|
|
地下
|
22250.77m2
|
|
容积率
|
0.50
|
摘牌容积率
|
|
|
建筑密度
|
3.39%
|
摘牌建筑密度
|
|
|
绿地率
|
30%
|
摘牌绿地率
|
不小于30%
|
|
商业比例
|
1.28%
|
摘牌商业比例
|
|
|
建筑高度
|
|
摘牌建筑高度
|
|
|
公共配套(含物业)
|
|
|
建设单位
|
沈阳华凌房地产有限公司
|
|
工程名称
|
郡原美村 居住、商业(五期)2#地块
|
|
建筑
面积
|
地上
|
209422.06 m2
|
|
地下
|
20649.73m2
|
|
容积率
|
1.08
|
摘牌容积率
|
|
|
建筑密度
|
24.08%
|
摘牌建筑密度
|
|
|
绿地率
|
30%
|
摘牌绿地率
|
不小于30%
|
|
商业比例
|
10%
|
摘牌商业比例
|
|
|
建筑高度
|
|
摘牌建筑高度
|
|
|
公共配套(含物业)
|
物业用房1716.44㎡,社区用房1396.62㎡。
|
|
建设单位
|
沈阳华凌房地产有限公司
|
|
工程名称
|
郡原美村 居住、商业(五期)3#地块
|
|
建筑
面积
|
地上
|
64305.87 m2
|
|
地下
|
29533.31m2
|
|
容积率
|
0.36
|
摘牌容积率
|
|
|
建筑密度
|
7.91%
|
摘牌建筑密度
|
|
|
绿地率
|
30%
|
摘牌绿地率
|
不小于30%
|
|
商业比例
|
7.56%
|
摘牌商业比例
|
|
|
建筑高度
|
|
摘牌建筑高度
|
|
|
公共配套(含物业)
|
物业用房1250.16㎡
|
