![]() |
|
|
|
|
|
|
|
|
|
| 通知公告: |
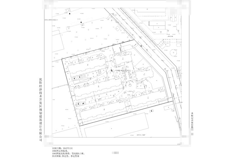
沈阳威信产业集团股份有限公司在经开区黔灵湖街10号居住项目(苓湖经典)建设工程规划验收核实批前公示
经沈阳市规划和国土资源局经济技术开发区分局规划科审核,拟批准沈阳威信产业集团股份有限公司位于黔灵湖街10号的住宅(苓湖经典)项目建设工程规划规划验收核实,现对该项目总平面竣工测量图进行公示并征求意见。
公示内容如下:
1、该图仅为示意图,以最终审批为准。
2、公示及收集意见日期:2015年2月15日——2015年3月5日(10个工作日)
3、利益相关人可在公示有效期内通过以下途径咨询或提出意见:
①咨询电话:024-25375039;
②信函请邮寄至: 沈阳经济技术开发区昆明湖街36号行政审批大厅5楼规划科(以邮戳日期为准);
4、反馈意见请注明联系人真实姓名、电话、地址等信息;如因信息不完整或不真实导致无法核对相关情况的,视为无效意见。
5、本方案涉及的利益相关人依法享有听证权,如需听证请在公示期内提出申请;在接到申请并审核后,我局将在15个工作日内组织听证会。
沈阳市规划和国土资源局经济技术开发区分局 2015年2月15日
| |||||||||||||||||||||||||||||||||||||||||
| 友情链接: |
|
|
|
|


