![]() |
|
|
|
|
|
|
|
|
|
| 通知公告: |
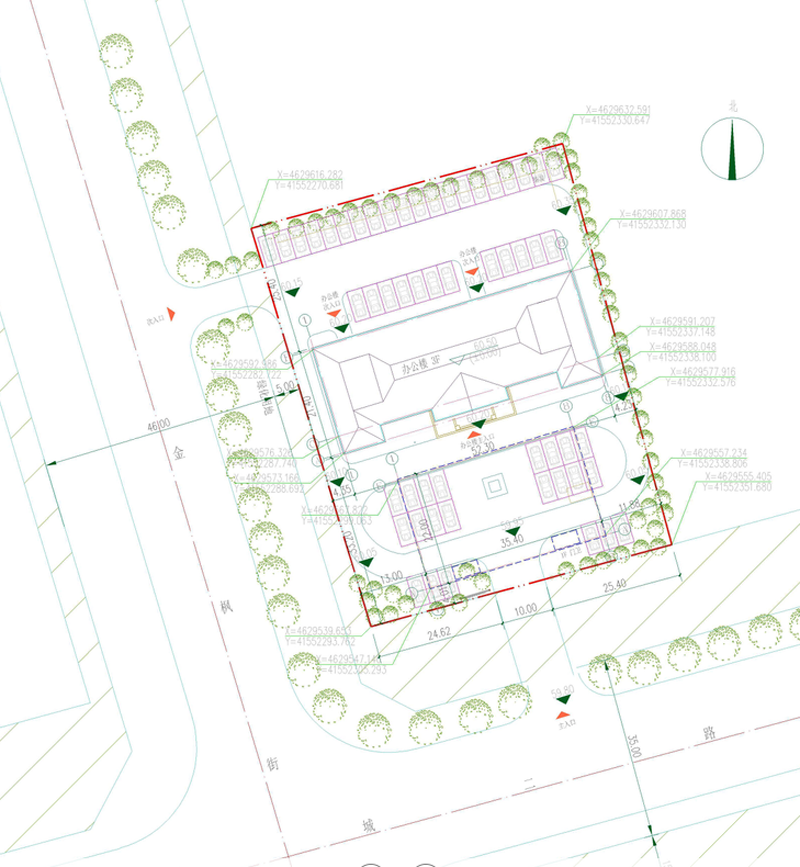
沈阳沈抚新城管理委员会位于沈阳市沈抚新城汪家街道的沈抚新城派出所规划方案批前公示
经沈阳市规划和国土资源局沈抚新城分局审核,拟批准沈阳沈抚新城管理委员会位于沈阳市沈抚新城汪家街道的沈抚新城派出所《建设工程规划许可证》总平面规划方案,现对该项目总平面规划方案进行公示。
公示内容如下:
公示日期:2017年5月25日——2017年6月8日(10个工作日)
公示反映方式:在公示期间,有关单位或个人对该项目审批有任何意见或建议的,可通过以下方式反映:
1. 联系电话: 024-88019153
传真:024-88050826 (请注明“规划公示”字样)
2. 信件寄往“沈阳棋盘山开发区泗水街57号4楼规划分局规划科”
收(请注明“规划公示”字样),邮编:110163
沈阳市规划和国土资源局沈抚新城分局
2017年5月25日
![]() | |||||||||||||||||||||||||||||
| 友情链接: |
|
|
|
|



