![]() |
|
|
|
|
|
|
|
|
|
| 通知公告: |
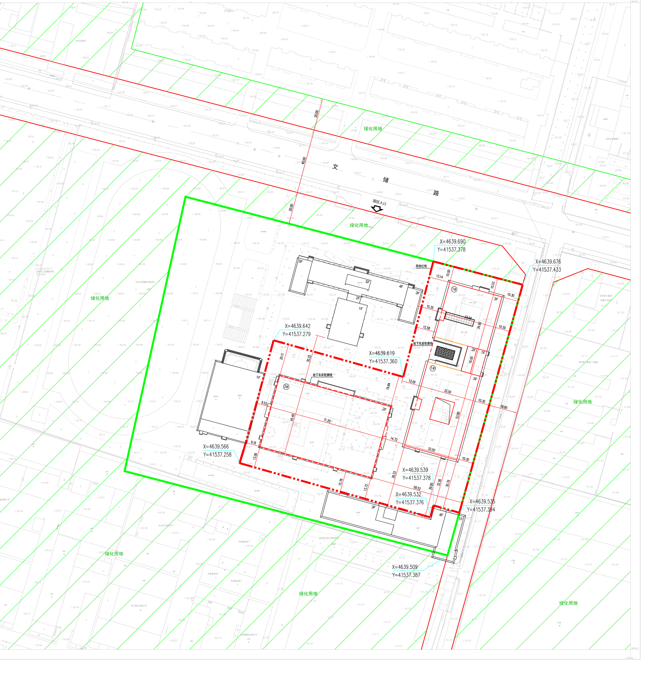
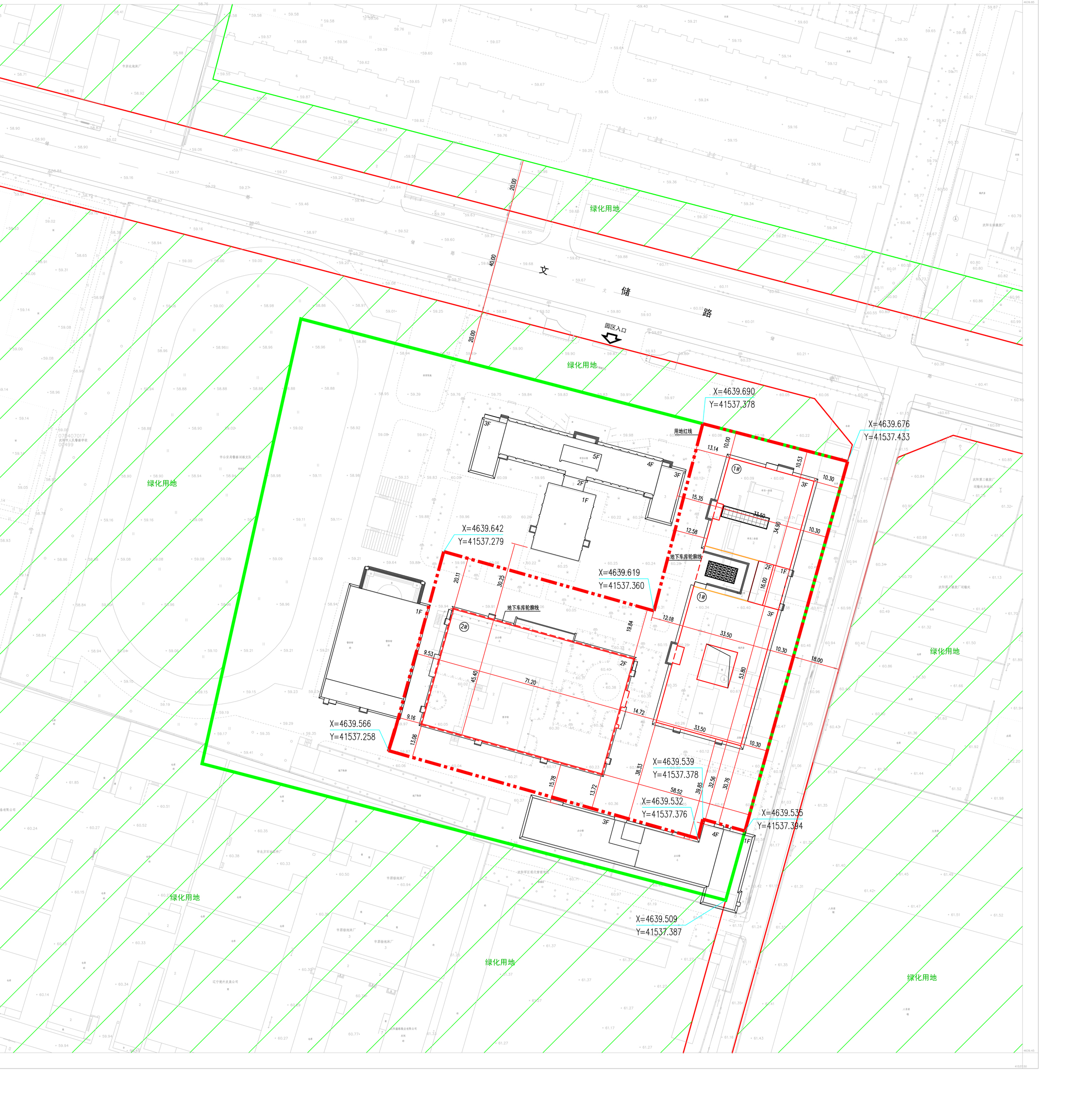
沈阳市公安局警察训练基地改扩建工程项目方案批前公示
沈阳市公安局警察训练基地改扩建工程项目方案批前公示
经沈阳市规划和国土资源局皇姑分局审核,拟批准沈阳市公安局位于沈阳市皇姑区文储路99号的沈阳市公安警察训练基地改扩建工程总平面规划方案,现对该项目总平面规划方案进行公示。 公示内容如下:
公示日期:2018年2月9日——2018年2月27日(10个工作日)
公示反映方式:在公示期间,有关单位或个人对该项目审批有任何意见或建议的,可通过以下方式反映:
1. 联系电话: 024-86216100.
传真:024-86216100 (请注明“规划公示”字样) 2. 信件寄往“沈阳市皇姑区松花江街皇姑区政府6楼 沈阳市规划和国土资源局皇姑分局规划科”收(请注明“规划公示”字样),邮编:110032
沈阳市规划和国土资源局皇姑分局 2018年2月9日
![]() | |||||||||||||||||||||||||
| 友情链接: |
|
|
|
|



