![]() |
|
|
|
|
|
|
|
|
|
| 通知公告: |
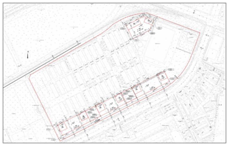
沈阳大东方置业公司位于大东区联合路南侧的东方商城商业(二期)建设项目总平面规划方案批前公示
经沈阳市规划和国土资源局建设工程管理处审核,拟批准沈阳大东方置业有限公司位于 大东区联合路南侧的 东方商城商业(二期)建设项目总平面规划方案,现对该项目总平面规划方案进行公示。 公示内容如下: 公示日期:2011年 4月2日——2011年 4月16日(10个工作日) 公示反映方式:在公示期间,有关单位或个人对该项目审批有任何意见或建议的,可通过以下方式反映: 1.联系电话: 024-88215968 2.传真:024-83961709(请注明“规划公示”字样) 3.信件寄往“沈阳市和平区南四经街149号 沈阳市规划和国土资源局 建设工程管理处”收(请注明“规划公示”字样),邮编:110003 沈阳市规划和国土资源局 2011年 4月1日
| |||||||||||||||||||||||||||||||||||||||||||||
| 友情链接: |
|
|
|
|



